Kirjaudu Kirjaudu sisään
App Store
Lataa Suomen Luonto -sovellus Apple App Storesta!
Google Play
Lataa Suomen Luonto -sovellus Google Play Storesta!
TILAA LEHTI
KIRJAUDU
TILAA LEHTI
Kirjaudu Kirjaudu sisään

HAVAINTOKIRJA

Suomen Luonnon ystävien oma havaintopalsta.

Lähetä kuvasi ja tarinasi alla olevalla lomakkeella. Havaintokirjan kuvia ja tarinoita julkaistaan Suomen Luonnon nettisivuilla. Toimitus poimii parhaat myös Suomen Luonto -printtilehden Havaintokirja-palstalle. Voit lähettää meille myös linkin esimerkiksi Youtubessa tai Vimeossa julkaisemaasi luontoaiheiseen videoon.

Kuvan lähetys havaintokirjaan

  • Kuva

  • Sallitut tiedostotyypit: jpg, png, jpeg, Max. tiedoston koko: 2 GB.
    Lähettämällä kuvan hyväksyt, että kuvaa saa käyttää Suomen Luonnon Havaintokirjaan liittyvissä julkaisuissa verkossa ja lehdessä.

    Verkkopalvelussa julkaistut kuvat esimoderoidaan. Toimitus poimii parhaat kuvat myös Suomen Luonto -lehden Havaintokirja-palstalle.

    Lehden palstalle valituista havaintokuvista maksamme 40 euron palkkion. Verkossa ja sosiaalisessa mediassa julkaistavista kuvista ei makseta palkkiota.

    HUOM! Heinäkuun aikana Havaintokirjan kuvia julkaistaan satunnaisesti, sillä moderaattorit ovat kesälaitumilla.
  • Video

  • Voit lähettää meille myös linkin Youtubessa tai Vimeossa julkaisemaasi videoon. Suomen Luonto voi upottaa videon omalle sivuilleen. Videon käyttöoikeudet määrittelee videon alkuperäinen julkaisupalvelu.
  • Kuvan tiedot

  • Henkilötiedot

  • Kuvan käyttöoikeus

    Lähettämääsi kuvaa saa käyttää Suomen Luonnon julkaisuissa ja materiaaleissa, kuten artikkelien kuvituksina, verkkopalveluissa ja Suomen Luonnon markkinointiin.
  • Ehdot

    Olen kuvien tekijänoikeuksien haltija. Kuvassa mahdollisesti esiintyviltä henkilöiltä on kysytty lupa kuvan julkaisemiseen. Kuvaajan nimi mainitaan aina kuvan yhteydessä. Lähettämällä havainnon hyväksyn, että jättämiäni tietoja voidaan käyttää Suomen Luonnon jutuissa printtilehdessä ja verkkosivuilla.
  • Kenttä on validointitarkoituksiin ja tulee jättää koskemattomaksi.
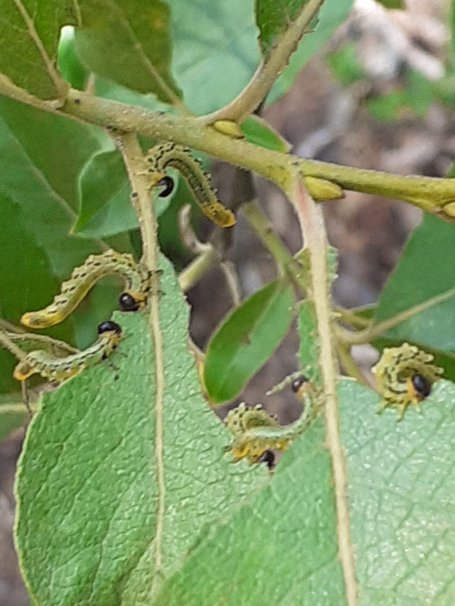
Valokuvaaja: Maarit Pietiläinen

Toukkakomppanja työssä puunlehdillä..

Tälläisiä pieniä vihertäviä/vihreitä toukkia vilisti järsimässä tiuhaa tahtia vihreitä puun lehtiä. Minkä lajin toukista on kysymys?
Valokuvaaja: Maarit Pietiläinen, Harjavalta, Satalinna. 23.7.2021